深圳多个住宅盘规划公布!南山天源华府涉平面图修改
扫描到手机,新闻随时看
扫一扫,用手机看文章
更加方便分享给朋友
近日,深圳规自局发布了云悦府等多个住宅项目的规划及平面图,以及天源华府等项目的规划调整。
天源华府:平面图修改
天源华府项目位于南山区南山大道西侧,中山公园东侧,宗地号T302-0061,用地单位为深圳市乾富控股有限公司、深圳市西岭股份合作公司。
总平面图修改主要内容:
(一)三座塔楼建筑外轮廓和高度调整,基地道路开口调整,人行及无障碍开口相应调整,地上新增架空停车场。
(二)技术经济指标表中,总建筑面积由79682.98平方米调整为82574.83平方米,其中地上核增面积由15550.43平方米调整为17531.67平方米,地下核增面积由15022.55平方米调整为15933.16平方米,计规定建筑面积不变。具体指标变化详见公示总图。
资料显示,天源华府原为西岭股份合作公司返还用地,地块占地面积约1.61万㎡,规划总建筑面积约8.27万㎡,计容积率建面约6.67万㎡。
物业类型主要是住宅,另有一些小区基础配套设施。
其中,住宅约4.79万㎡,整体包含3栋住宅楼,呈L形状分布,地上最大层数为31-35层。以2梯4户及3梯5/6户梯户配置为主,规划车位数约500辆。
另规划老年人日常照料中心350㎡,社区管理用房250㎡,社区警务室50㎡,社区菜市场500㎡,物业用房服务100㎡。
公开信息显示,天源华府规划住宅共计429户,其中商品住宅289户,回迁房140户。
主力户型为建面约92㎡和建面约113-115㎡2-3房;另有建面约163㎡和建面约193㎡大户型4房。
目前项目已经出地面多层,预计今年开盘。
云悦府:300套住宅
云悦府项目位于大鹏新区葵涌办事处葵新社区G15105-8192号宗地。
项目位于大鹏新区葵涌办事处葵新社区虎地排后山地块,盐坝高速和环城西路交汇点,项目总投资1.6亿元。
总用地面积约7508平方米,容积率3.93,规划总建筑面积约40513平方米,项目拟建两栋31层住宅建筑,建筑高度95.35米,规划车位336个。主要建设内容包括住宅、商业、社区老年人日间照料中心、物业服务用房等部分公共配套。
根据规划显示,项目共有300户。
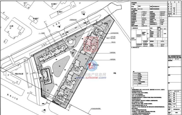
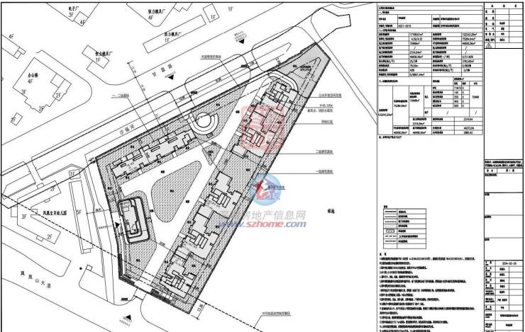
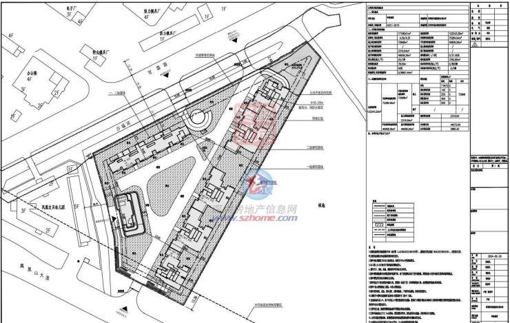
岭尚雅居:798户回迁房
近日,深圳规自局公布了岭尚雅居项目建设工程规划许可证及总平面图。
深圳市凤凰股份合作公司的“岭尚雅居”(宗地号A221-0215)项目位于福永街道。
总建面约12万平,其中住宅约7.2万平,总户数798户,全为回迁房。
项目地块为三角形状,由3栋住宅组成。
来源:深圳房地产信息网
声明:本文由入驻焦点开放平台的作者撰写,除焦点官方账号外,观点仅代表作者本人,不代表焦点立场。


