福田科技中学由36班扩建为42班!罗湖这所学校规划也有调整
扫描到手机,新闻随时看
扫一扫,用手机看文章
更加方便分享给朋友
近日,深圳市规划和自然资源局公布了福田科技中学与星园学校的平面图修改情况。
科技中学
原36班扩建42班
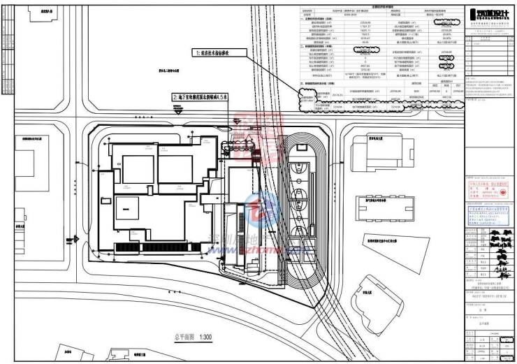
深圳市规划和自然资源局福田管理局关于科技中学(原景秀中学)总平面图修改公示的通告
科技中学(原景秀中学)项目位于福田区莲花街道景田北一街29号,宗地号B304-0038。
总平面图局部修改:一、地下室轮廓范围线北侧缩减4.5米;二、经济技术指标相应修改(详附件云线圈注范围)。
原《建设工程规划许可证》(深规划资源建许字FT-2022-0029号)中部分指标修改为:地下核增建筑面积由7407.03㎡调整为7214.94㎡(公用设备用房1593.01㎡、共用停车库5621.93㎡)。(详附图云线圈注范围)
之所以福田科技中学要扩增,主要还是为了解决该片区学位紧张问题,充分挖掘空间潜力。由此,深圳市福田区教育局拟对该校进行改扩建,申请变更建设用地规划许可证。
主要改扩建指标具体如下:
①办学规模:原36班,改造后为42班;
②建筑面积:原15750㎡,改造后为37050㎡(具体为:已建规定建筑面积5971.11㎡,新建初中31078.89㎡,改扩建后教学及辅助用房不少于25336.5㎡。容积率变更为1.58)。
学校简介:
福田区科技中学前身是创办于1994年的福田区景秀中学,基于景秀中学优异的办学业绩和科技创新教育的扎实基础,福田区委区政府于2017年8月同意景秀中学更名为科技中学。
科技中学是一所国家公办全日制初级中学,位于深圳市中心区,占地面积2.36万平方米,现有32个教学班,学生1300余人,教职工120人,其中专任教师108人,具有高级教师职称的45人,具有本科以上学历的教师104人,已完成或在读研究生课程的9人,教师学历全部达标。有一批全国、省、市级优秀教师和深圳市、福田区学科骨干教师。
星园学校
总建面由35915.07㎡调整为35914㎡
深圳市规划和自然资源局罗湖管理局关于星园学校新建工程《建设工程规划许可证》及总平面图变更的公示
星园学校新建工程位于罗湖区清水河街道银湖路东侧,宗地号为H401-0050号,2020年4月27日取得《深圳市建设工程规划许可证》(深规划资源建许字LH-2020-0011号)。现深圳市罗湖区建筑工务署申请该项目的《建设工程规划许可证》及总平面图变更,变更主要内容如下:
一、主要经济技术指标表部分数据调整
总建筑面积由35915.07㎡调整为35914㎡,计规定容积率建筑面积由24610㎡调整为24423㎡,地上核增建筑面积由554.09㎡调整为522㎡,地下核增建筑面积由10750.98㎡调整为10969㎡,具体详见附件。
二、总平面图变更
1、架空通道上空玻璃雨棚形状修改;
2、屋顶运动场直跑段上空增加玻璃雨棚;
3、主入口处门卫上空造型修改;
4、星园学校与银湖路相邻一侧增加挡土墙,并对绿化、铺装进行修改;
5、消防紧急出入口旁增设台阶连接消防道路与备用人行出入口;
6、其余具体变更详见附件云线圈注部分。
学校简介:
深圳市罗湖区星园学校于2018年2月正式开始招生,是一所区属九年一贯制公办特殊教育学校。新校区正在建设中,目前在新秀小学借址办学。按照《深圳市罗湖区深化教育领域综合改革实施方案》,星园学校建成后将办成一所义务教育阶段融合式特殊教育学校。
学校确立“星见其美,园融共生”的办学宗旨,以“尊重不同,适性发展”为办学理念,坚持“尊重不同,仁爱尽责,融爱于心,向善而行”,结合学校物理环境、师资情况、课程建设、社会资源等实际,充分考虑到特殊儿童的认知特点与教育需求,努力实现“培养学生健康身心,开发学生生命潜能,为学生融入主流社会打下良好基础”的培养目标。
(来源:深圳房地产信息网)
声明:本文由入驻焦点开放平台的作者撰写,除焦点官方账号外,观点仅代表作者本人,不代表焦点立场。


