宝安腾讯“互联网+”未来科技城调整!5栋宿舍优化天际线
扫描到手机,新闻随时看
扫一扫,用手机看文章
更加方便分享给朋友
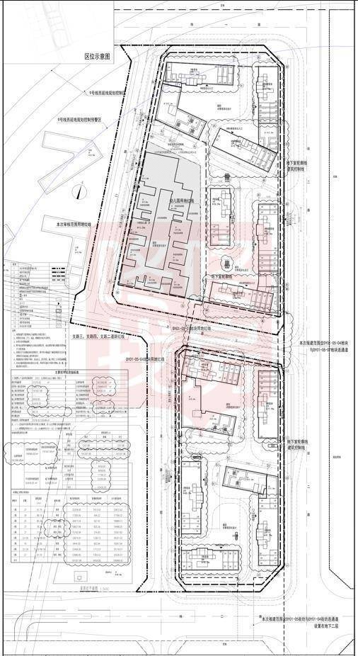
8月27日,深圳市规划和自然资源局宝安管理局发布关于“互联网+”未来科技城DY01-05街坊04&07地块(宿舍)项目总平面图修改公示的通告
腾讯科技(深圳)有限公司的“互联网+”未来科技城项目DY01-05街坊04&07地块(宿舍)项目,宗地号A002-0076,项目位于西乡街道大铲湾港区,于2022年3月核发《建设工程规划许可证》(深规划资源建许BA-2022-0013号),现来文办理总平面图修改。
主要修改内容(详见图中云线圈示部分)如下:
(一)各栋二层及以上楼层层高由3.3m调整为3.2m;
(二)优化天际线,1#栋宿舍层数由25层调整为27层,2#栋宿舍层数由28层调整为29层,3#栋宿舍层数由27层调整为25层,7#栋宿舍层数由19层调整为16层,8#栋B座宿舍楼层由28层调整为29层;
(三)结合层高变化及建筑高度复核,1#栋宿舍建筑高度由87.69m调整为91.79m,“建筑较高高度”2#栋宿舍建筑高度由97,59m调整为98.19m,8#栋B座宿舍建筑高度由97.59m调整为98.19m,其他楼栋建筑高度相应调整;
(四)结合景观优化宿舍退台露台所处楼层及范围;
(五)取消地下商业,将部分商业面积腾挪至5#栋宿舍首层设置,层高由6.0m调整为5.4m,经济技术指标表地上商业由1150.18㎡及地下商业999.82㎡调整为地上商业1207.98㎡,地上核增架空绿化休闲由9553.14㎡调整为8458.85㎡,04地块与07地块地下联通通道调整为整体联通,地下核增由56048.05㎡调整为63430.05㎡,经济技术指标表其他指标相应调整。
经核查,修改后仍符合规划要求。
2019年11月29日,腾讯科技(深圳)有限公司以85.2亿元挂牌价成交位于深圳市宝安区西乡街道大铲湾A002-0076宗地,将建设深圳“互联网+”未来科技城。
此地块位于大铲湾岛的A002-0076宗地,面积80.9万平方米,总建筑面积达到200万平方米,将引入新型产业用地+公共管理与服务设施用地的综合规划。
首期开发地块中包括会议中心、酒店、科技展览馆、数据及智慧控制中心、学校教育设施、产业园区配套宿舍、体育活动中心、社区健康服务中心、公交首末站等,片区或将引入地铁9号线西延线、15号线、妈湾通道等重大市政交通设施。
2019年10月,宝安区工业和信息化局公示的《深圳“互联网+”未来科技城选址地块重点产业项目遴选方案》里,深圳“互联网+”未来科技城意向用地单位为腾讯科技(深圳)有限公司。
《遴选方案》披露,2018年,腾讯总收入约3127亿元,较2017年同比增长32%;盈利约775亿元,较2017年同比增长19%。腾讯目前在深圳有腾讯大厦、腾讯滨海大厦,在建腾讯前海大厦。腾讯在深圳有约38000名员工,办公面积约70万平方米,预计未来7年人数将达到89000人,办公面积缺口130万平方米。
大铲湾宗地项目将建设“六基地一平台”,包括效果广告研发推广基地、互联网云全球研发基地、互联网+医疗基地、互联网+教育创新实践基地、互联网体育产业互动基地、互联网+双创基地以及前沿科技领域研究中心。项目全部建成运营后预计将可容纳7.5万名办公人员,集聚中高端专业人才。
11月29日,腾讯科技(深圳)有限公司以85.2亿元挂牌价拍下位于深圳市宝安区西乡街道大铲湾A002-0076宗地。拥有vivo手机品牌的国内知名的通信终端产品制造企业维沃移动通信(深圳)有限公司,则以12.9亿元的挂牌价成交A002-0074宗地。
其中,位于大铲湾岛的A002-0076宗地,面积80.9万平米、总建筑面积达到200万平方米。将引入新型产业用地+公共管理与服务设施用地的综合规划。首期开发地块中须包括会议中心、酒店、科技展览馆、数据及智慧控制中心、学校教育设施、产业园区配套宿舍、体育活动中心、社区健康服务中心、公交首末站等,片区或将引入地铁9号线西延线、15号线、妈湾通道等重大市政交通设。
腾讯集团在宗地成交后表示,根据公司业务发展和员工数量的增加,现有自有物业及租赁物业将无法满足未来办公需求,基于上述考虑,腾讯根据规定向有关部门提交了用地申请,以解决公司中长期办公空间需求。
该项目计划7年竣工,具体投入时间待未来实际情况而定。项目用地包括宿舍、商业、学校等配套功能,可使员工未来办公和生活更便利。
来源:深圳房地产信息网
声明:本文由入驻焦点开放平台的作者撰写,除焦点官方账号外,观点仅代表作者本人,不代表焦点立场。


