深超总又调出一宗新宅地,位于中海深湾玖序旁,或供应近5.2万㎡住宅
扫描到手机,新闻随时看
扫一扫,用手机看文章
更加方便分享给朋友
刚刚,深超总片区又调增一宗宅地!
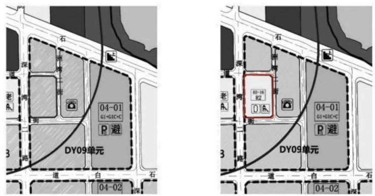
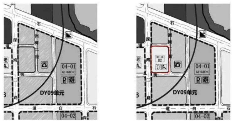
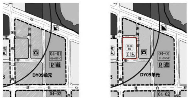
该宗宅地用地面积11835㎡,容积率4.4,且就位于中海深湾玖序旁,位置非常优越。
这已经是深圳本月调规新增的第9宗宅地,也是最“靓”的宅地,深圳的土拍市场要火热重启了吗?
据深圳特区报报道,深圳市规划和自然资源局南山管理局,拟对[红树湾地区]法定图则DY09单元进行规划调整。
DY09单元用地面积为11.77公顷,原主导功能为商业服务业用地,拟调整为“商业服务业用地+二类居住用地”。
二类居住用地编号为03-16,用地面积为“11835㎡”,容积率为“ 4.4”,配套设施包括社区体育活动场地、社区儿童游戏场地等。
根据容积率测算,该宗地总建面超5.2万㎡,且地块是纯住宅用地,扣除占比非常小的配套设施,住宅或许也有近5.2万㎡。
根据法定图则,地块位置正好处于中海深湾玖序东侧,TCL大厦南侧,天音大厦西侧,神州数码北侧,三面被写字楼包裹。
这个体量和位置肯定要比中海深湾玖序差点意思。
深湾玖序前身也是商改住地块,土地面积超3.86万㎡,总建面26.3万㎡,其中单住宅就有17.69万㎡。
深湾玖序最早于去年6月入市,项目先后取证三次,目前接近清盘状态,网传就连总价1.1亿的顶复也都成功售出。
看来,深圳高端购买力还是很强的,而适应市场需求,加大核心位置的住宅供应,或许就是今年房地产市场的主要方向之一。
因此,从4月9日到29日,深圳就新增调整了9块住宅用地,基本位于深圳各区域的核心范围内,包括南山深超总、西丽;龙华梅林关、上塘;以及光明中心等等片区。
下面来看看南山调规出来的宅地。
其中,前海片区就有近16宗宅地,另外,南山西丽板块的龙珠、大学城片区或有3宗宅地。
▲南山龙珠片区 02-08/10地块
这宗地是今年最新调规来的。
地块为于龙井路与龙珠西路交汇处,为西丽车管所,临近地铁7号线龙井站,地块背靠塘朗山、与侨城北一路之隔。
根据调规公示,本批调整将交通用地调整出两宗宅地,规划用地面积共4.8万㎡,其中:
02-08地块(R2),规划用地面积23028㎡,容积率4.5,配建社区儿童游戏场地等;
02-10地块(R2),规划用地面积25272㎡,容积率3.8,配建9班幼儿园、托育机构等。
此外,还调规了两宗教育设施用地,布局一所不少于72班的九年一贯制学校,及约4.6万㎡的公园绿地。
▲前海蛇口-大小南山片区 05-02-02地块
2024年6月,前海管理局公示调规一宗宅地,原为新型产业用地拟调为居住用地(R2)。
这宗地位于在售安居房山樾湾旁边,背靠小南山,西邻妈湾岗。
根据规划,05-02-02地块用地面积约9316㎡,规划容积建面4.4万㎡,配建一所6班幼儿园等社区配套。
▲前海蛇口-大小南山片区 03-07-01地块
2024年5月,前海管理局规划将一宗三类居住用地(R3)调整为二类居住用地(R2)。
地块位于赤湾二路北侧,处于小南山公园山脚,正对面是赤湾港。
根据规划,03-07-01地块用地面积约7922㎡,规划容积率≤3.3。
同期,与03-07-01地块相邻的03-07-01地块(位于赤湾九路西侧)同样由R3用地改成R2用地,规划为配售型保障性住房。
▲南山大学城片区 07-15-02地块
2023年7月,南山管理局公示大学城一宗商办用地拆分两宗,其中一宗规划为二类居住用地(R2)。
调规后的07-15-02地块用地规模约3398㎡,容积率4.3,规划配建3班幼儿园、托育机构等社区配套。
而07-15-01保持原有的商办性质,用地规模相对比宅地大很多。
▲前海妈湾片区-新增出14宗宅地
2023年,前海妈湾片区公示两轮调规,新增出14宗宅地!
新增的住宅用地主要位于十五、十六开发单元:
●开发单元十五:用地面积52. 3公顷,总建筑规模139万㎡,调整后,主导功能由“以商业、商务公寓、居住等功能为主”改为“以商业、居住、商务公寓等功能为主”;
●开发单元十六:用地面积87. 2公顷,总建筑规模258万㎡,调整后,主导功能由“以商业、商务公寓等功能为主”改为“以商业、居住、商务公寓等功能为主”。
●十五开发单元02、03街坊:由原规划的“商业、商务公寓”规划用地性质调整为”商业、居住、教育设施及公园绿地”。
你觉得这些地块,大概什么时候会上土拍市场呢?
注:以上为不完全统计,具体以官方最新公示为准。
声明:本文由入驻焦点开放平台的作者撰写,除焦点官方账号外,观点仅代表作者本人,不代表焦点立场。


