二期、三期规划数据曝光!宝安纯现房新盘共分四期开发
扫描到手机,新闻随时看
扫一扫,用手机看文章
更加方便分享给朋友
宝安纯现房新盘施工进展在加速。
深铁阅海境继3月公示一期的建设工程规划许可证及总平面图后,二期、三期的相关信息也已经释放。
阅海占地面积约18.2万㎡,规划建面约29万㎡,容积率1.6,规划约2500套房源,共分四期开发。

项目沿107国道分布,前三期的规模相,四期的规模项目较小。
其中,一期总建面约20.4万㎡,824套房源,二期、三期又如何呢?
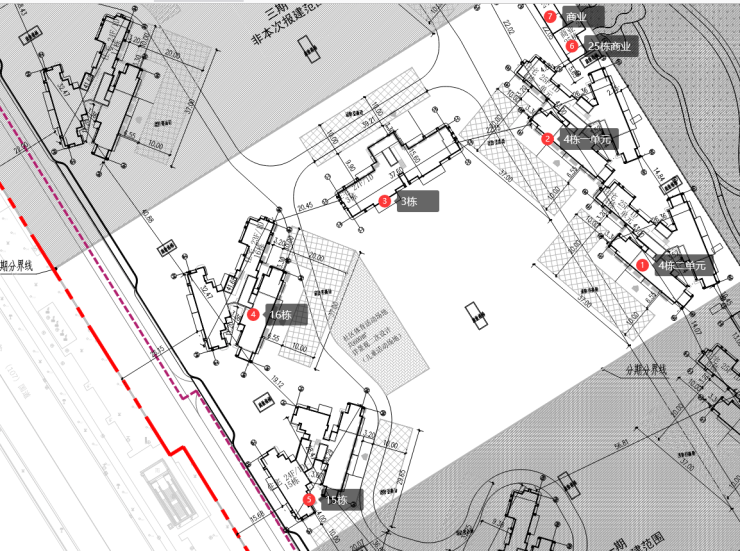
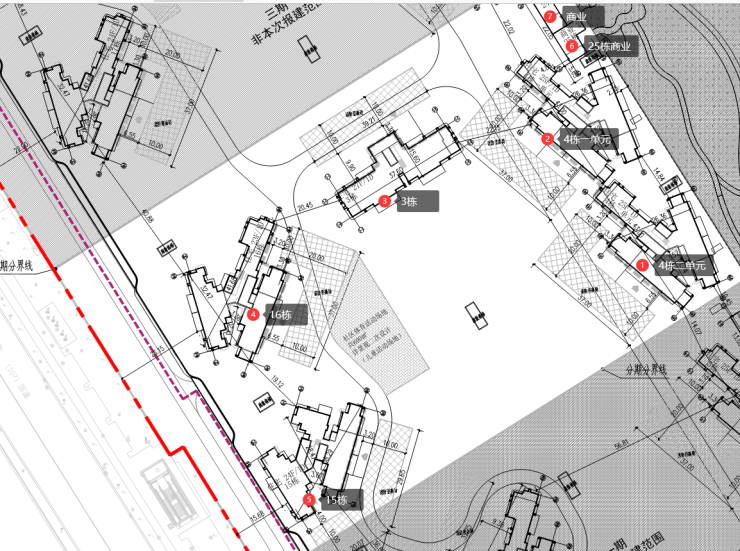
➤阅海境二期共规划448套住宅
深铁阅云境规划总建面约7.7万㎡,计容建面约6.2万㎡,其中,住宅约5.9万㎡,本期规划停⻋位344个。

二期主要由4栋住宅(3、4、1 5、1 6栋)及2栋商业(24、25栋),共规划488套。


➤阅海境三期共规划534套住宅
阅海境三期总建面约9.5万㎡,计容建面约7万㎡,其中住宅建面约6.6万㎡,规划总户数534户,本期停车位525个。

阅海境三期由5栋住宅(1、2、17、18、19栋)及3栋商业组成(21、22、23栋)

四期项目信息暂未公示,或将规划约690套住宅。
阅海境整体主要规划30层以内的低密高层,舒适性相对较高,西有107国道,东有京港澳高速,噪音污染或再所难免。
声明:本文由入驻焦点开放平台的作者撰写,除焦点官方账号外,观点仅代表作者本人,不代表焦点立场。


