1566套住宅!龙华清湖地铁口新盘总平面图曝光
扫描到手机,新闻随时看
扫一扫,用手机看文章
更加方便分享给朋友
鸿荣源龙华再上新盘,将推出1566套住宅!
日前,龙华管理局公示宸玺花园1-4期的建设工程 规划许可证及总平面图的通告。宸玺花园即为清湖西片区城市更新单元,实施主体为深圳市鸿图盛世投资有限公司(鸿荣源控股持股51%)。

宸玺花园建设用地面积约2.6万㎡,总建面约39万㎡,容积率11.69,容积建面约30万㎡。
其中,包括住宅12.6万㎡(保障房1.6万㎡)、办公约12.3万㎡、商业8220㎡,另有配套用房1.4万㎡。规划房源数1566户,停车位2126个。


宸玺花园一期工程为1栋4层6班幼儿园,建面约3600㎡。
一期为1栋4层6班幼儿园,建面约3600㎡。
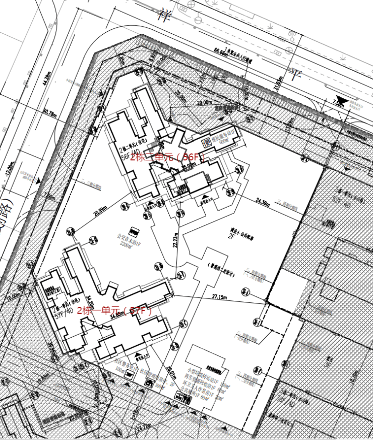
二期规划住宅产品,计容建面7.8万㎡,其中,住宅建面约7万㎡(含1.6万㎡保障房),规划建设1栋3个单元楼体,其中一单元32F、二、三单元56F。
三期规划为两栋56层、57层超高层住宅,规模约5.6万㎡;
四期规划为办公及商业,其中办公约12.3万㎡,商业约6290㎡。




目前,宸玺花园正在施工建设阶段,预计最快年底入市。
宸玺花园具体位置在龙华区和平路与清龙路交汇处东北角,临近地铁4号线清湖地铁口。
宸玺花园周边城市面貌以城中村和工业园为主,不过,项目紧靠4号线清湖站,轨道交通便捷,5站可达北站,8站福田,交通较为便捷。
生活配套方面,片区内有有星河ICO、益田假日、壹方天地大型商业综合体(总商业体量超20万㎡),文体设施有龙华文体中心、深圳书城龙华城、龙华文化艺术中心、龙华文化广场等大型商业、文娱配套。
片区房价方面,宸玺花园周边目前在售宏发悦见等新盘,其中,宏发悦见誉府、和府目前尾盘在售,备案价约5.2-5.6万/㎡,或可做参考。
声明:本文由入驻焦点开放平台的作者撰写,除焦点官方账号外,观点仅代表作者本人,不代表焦点立场。


