均价3.84万/㎡,推197套公寓产品,汇智时代广场获批预售
扫描到手机,新闻随时看
扫一扫,用手机看文章
更加方便分享给朋友
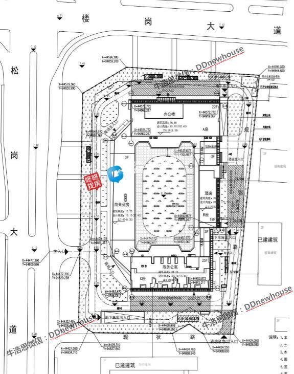
3月23日,汇智时代广场获批预售许可证,并在住建局官网公示,本次备案商务公寓197套,办公168套,位于A、C座。

商务公寓建面约91-92㎡,均价约3.84万/㎡,单价区间在3.59-3.99万/㎡,总价区间在328-365万/套。
办公建面约91-92㎡,均价约3.84万/㎡,单价均为3.39-4.05万/㎡,总价区间在310-370万/套。
项目基本信息
项目位于宝安区松岗街道松岗大道与楼岗大道交汇处东南侧。由深圳市松岗楼岗股份合作公司、深圳市汇智百盛实业有限公司联合开发。
南面毗邻松岗第二小学,距离沃尔玛400米左右距离,北侧是松岗义乌商品城和东升实验学校。在松岗义乌商品城旁边还有一个小商城,距离项目约200米,商城里面有超市和麦当劳、永和豆浆等大牌商家入驻,业态丰富。
周边商业配套、教育资源较好。交通方面,距离地铁口远,但附近有公交站。
项目是个商业综合体,包括有酒店、写字楼、商场和公寓,预计项目未来将与周边的沃尔玛、义乌商品城连片,将形成一个小商圈。这将改善和方便附近居民的购物需求,对于周边的住宅也算是个利好。
项目由深圳市华诚通建筑工程有限公司施工。
规划为1栋ABC三个单元楼,其中A座为办公楼、B座为酒店、C座为商务公寓,除此之外还有建筑高度约15米的三层商业裙房。
占地约17749㎡,总建面约10万㎡,停车位862辆(其中充电桩260辆)。
声明:本文由入驻焦点开放平台的作者撰写,除焦点官方账号外,观点仅代表作者本人,不代表焦点立场。


