8大项目!龙华2024首批城市更新计划公告
扫描到手机,新闻随时看
扫一扫,用手机看文章
更加方便分享给朋友
8月14日,龙华区城市更新和土地整备局发布关于《2024年深圳市龙华区城市更新单元计划第一批计划》的公告,该批次共有8个项目,分别为牛湖南片区城市更新单元(计划延期)、山咀头城市更新单元(计划延期)、德信昌工业园城市更新单元(计划延期)、庙溪老村片区城市更新单元(计划延期)、松元厦向西片区城市更新单元(计划延期)、民宝路南片区城市更新单元、龙胜南片区城市更新单元和田背西村城市更新单元。
01牛湖南片区城市更新单元计划延期公告
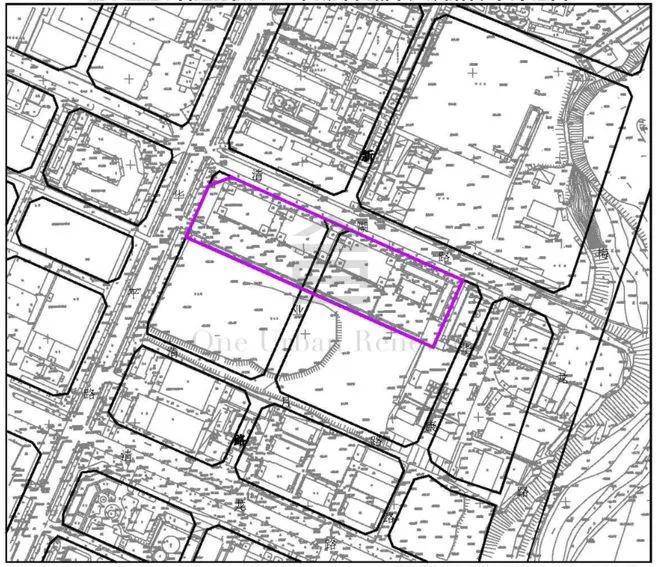
牛湖南片区城市更新单元位于龙华区观澜街道观天路,拟拆除范围817785㎡,拟更新方向为居住、商业、新型产业、普通工业等功能,新型产业用地不超过67160㎡,具体面积在更新单元规划阶段研究。拟拆除范围内法定图则覆盖区域应落实用于城市基础设施、公共服务设施、政府公益性项目用地不少于252580㎡(含不少于29952㎡教育设施用地,不少于62248㎡绿地),拟贡献率不少于31%,法定图则未覆盖区域的公共利益用地面积按相关法定规划要求落实。
更新单元计划有效期延期1年,自2022年6月17日起至2025年6月15日止。城市更新单元涉及城市总体规划强制性内容的,须按城市总体规划强制性内容有关要求执行。拟拆除范围内涉及的国有未出让用地作无偿清退处理(不享受清退政策),具体面积以土地信息核查结果为准。该城市更新单元涉及外部移交公共设施用地约126536㎡,计入合法土地面积约69594.8㎡。

申报主体为深圳市牛湖新城房地产开发有限公司,经查询工商信息显示该公司大股东为深圳市鸿荣源企业发展(集团)有限公司。
鸿荣源集团创立于1991年,历经近30年稳健发展,现已发展成为以地产全产业链综合开发、商业运营、产业发展、金融科技四大板块为核心,多元化经营的大型综合性企业集团。在地产开发和城市更新领域,鸿荣源多年来深耕深莞区域,累计综合开发建筑面积逾千万㎡,打造了前海鸿荣源中心、壹方中心、壹成中心、香蜜湖熙园、公园大地等多个极具市场影响力的标杆项目。以大城运营、产城融合的战略,布局多个中心项目,在大型连片改造、产业升级改造及TOD综合体开发等方面,具备丰富的经验。
02
山咀头城市更新单元计划延期公告
山咀头城市更新单元位于深圳市龙华区龙华街道公园路与东环一路交汇处,项目拟拆除范围面积51433㎡(含无偿清退用地209㎡),拟更新方向为居住、商业等功能。拟拆除范围内应落实用于城市基础设施、公共服务设施、政府公益性项目用地总面积不少于18000㎡(含不少于9000㎡义务教育用地一处,不少于2927㎡公园绿地,无偿清退用地209㎡),拟贡献率不少于35%,落实不少于12班幼儿园一所,打通南侧规划道路。
更新单元计划有效期延期1年,自2021年8月31日起至2025年2月28日止。城市更新单元涉及城市总体规划强制性内容的,须按城市总体规划强制性内容有关要求执行。
申报主体为深圳喜悦山置业发展有限公司,经查询工商信息显示,该公司关联企业为深圳市和悦投资发展有限公司、深圳市万科发展有限公司,分别占股65%、30%。
深圳市和悦投资发展有限公司成立于2016年,公司经营范围包括投资兴办实业;在合法取得使用权的土地上从事房地产开发经营等。
深圳市万科发展有限公司(以下简称深圳万科)正式成立于1994年,是万科集团的全资子公司和核心利润企业。前身为1988年成立的万科集团房地产经营管理本部,也是集团第一家专业房地产公司,是万科集团房地产业务的发源地。
03
德信昌工业园城市更新单元计划延期公告
德信昌工业园城市更新单元位于龙华区龙华街道,项目拟拆除面积26663㎡,拟更新方向为普通工业功能。拟拆除范围内移交政府用地不少于8000㎡,拟贡献率不少于30%。
更新单元计划有效期延期1年,自2022年6月17日起至2025年6月15日止。城市更新单元涉及城市总体规划强制性内容的,须按城市总体规划强制性内容有关要求执行。
申报主体为深圳市德信昌实业有限公司。
04
庙溪老村片区城市更新单元计划延期公告
庙溪老村片区城市更新单元已列入《2021年深圳市龙华区城市更新单元计划第二批计划》,项目位于深圳市龙华区观澜街道,拟拆除重建面积51411㎡(含无偿清退用地1385㎡),拟更新方向为居住、普通工业等功能。拟拆除范围内应落实用于城市基础设施、公共服务设施、政府公益性项目用地总面积不少于17570㎡(含不少于9000 ㎡义务教育用地一处,不含无偿清退用地1385㎡),拟贡献率不少于34%,落实不少于9班幼儿园一所。
更新单元计划有效期延期1年,自2021年8月31日起至2025年2月28日止。城市更新单元涉及城市总体规划强制性内容的,须按城市总体规划强制性内容有关要求执行。
申报主体为深圳市欣吉成投资有限公司,经查询工商信息显示,该公司由深圳市博昌企业管理咨询有限公司、深圳市龙光房地产有限公司分别控股95%、5%。
龙光集团专注于地产综合开发,于2013年在香港联合交易所主板上市(股票代码:03380.HK),拥有房地产开发国家一级资质、建筑工程施工总承包国家一级资质及工程设计甲级资质,是中国综合实力最强的房地产企业之一。龙光集团精准实施住宅开发、城市更新、资产经营、产业链服务四轮驱动战略,全国化布局粤港澳大湾区、长三角核心都市圈及西南、中部城市群等中国最具价值的核心都市圈,于2017年进军海外及香港特别行政区,开启国际化征程。截止2021年12月31日,集团可供开发的中短期土储超3430万㎡,其中一二线城市土储面积占比超70%,布局城市能级高,为长期可持续发展奠定基础。
05
松元厦向西片区城市更新单元计划延期公告
松元厦向西片区城市更新单元位于龙华区观湖街道,已列入《2021年深圳市龙华区城市更新单元计划第二批计划》,项目拟拆除范围154731㎡(含无偿移交用地2821㎡),拟更新方向为居住、商业等功能。拟拆除范围内应落实用于城市基础设施、公共服务设施、政府公益性项目用地总面积不少于54200㎡(含不少于20400㎡的45班九年一贯制学校用地一处,不少于4714㎡绿地),拟贡献率不少于35%,落实不少于12班的幼儿园2所。拟拆除范围内A918-0026宗地共2821㎡土地由实施主体将地上建筑物、构筑物及附着物等理清经济关系并自行拆除、清理后无偿移交政府。
更新单元计划有效期延期1年,自2021年8月31日起至2025年2月28日止。城市更新单元涉及城市总体规划强制性内容的,须按城市总体规划强制性内容有关要求执行。
申报主体是深圳市圣大房地产有限公司。经查询工商信息显示,该公司由深圳市仟展地产投资有限公司持股90%,深圳市正先经贸发展有限公司持股10%。经进一步查询得知,深圳市仟展地产投资有限公司大股东为深圳市金光华实业有限公司。
金光华实业集团有限公司成立于一九九五年,总部位于中国深圳,辐射珠三角及粤港澳大湾区等城市。历经多年的奋斗沉淀,现已完成地产开发、城市更新、商业运营、产业运营、物业管理五大版块多元化战略布局,向大型综合性集团稳健发展。业务涵盖住宅开发、城市更新、商业投资及运营、产业园区开发及运营、物业管理等。
06
民宝路南片区城市更新单元计划公告
民宝路南片区城市更新单元位于龙华区民治街道,项目拟拆除范围面积29229㎡,拟更新方向为居住、商业等功能。拟拆除范围内应落实用于城市基础设施、公共服务设施、政府公益性项目不少于15528㎡用地(含不少于8436㎡教育设施用地,不少于982㎡绿地),拟贡献率不少于53%,落实不少于6班幼儿园一所。打通阳光路(民治大道至欣阳南路段)、欣阳南路(民宝路至阳光路段)。拟拆除范围内A812-0019宗地共637.7㎡土地由实施主体将地上建筑物、构筑物及附着物等理清经济关系并自行拆除、清理后无偿移交政府。城市更新单元规划阶段需做好与市政系统综合详细规划的衔接。
更新单元计划有效期2年,自2024年8月14日起至2026年8月13日止。城市更新单元涉及城市总体规划强制性内容的,须按城市总体规划强制性内容有关要求执行。
申报主体为深圳市亿高房地产开发有限公司。经查询工商信息显示该公司大股东为深圳市鸿荣源企业发展(集团)有限公司。
鸿荣源集团创立于1991年,历经近30年稳健发展,现已发展成为以地产全产业链综合开发、商业运营、产业发展、金融科技四大板块为核心,多元化经营的大型综合性企业集团。在地产开发和城市更新领域,鸿荣源多年来深耕深莞区域,累计综合开发建筑面积逾千万㎡,打造了前海鸿荣源中心、壹方中心、壹成中心、香蜜湖熙园、公园大地等多个极具市场影响力的标杆项目。以大城运营、产城融合的战略,布局多个中心项目,在大型连片改造、产业升级改造及TOD综合体开发等方面,具备丰富的经验。
07
龙胜南片区城市更新单元计划公告
龙胜南片区城市更新单元位于深圳市龙华区大浪街道和平路南侧(原环亿厂地块),临腾龙路。项目拟拆除重建面积13763㎡,拟更新方向为居住、商业等功能。拟拆除范围内应落实用于城市基础设施、公共服务设施、政府公益性项目用地总面积不少于 4130㎡(含不少于1859㎡绿地),拟贡献率不少于30%。
更新单元计划有效期2年,自2024年8月14日起至2026年8月13日止。城市更新单元涉及城市总体规划强制性内容的,须按城市总体规划强制性内容有关要求执行。拟拆除范围内涉及的国有未出让用地作无偿清退处理(不适用清退政策),具体面积以土地信息核查结果为准。
申报主体为深圳市大浪龙胜股份合作公司。
08
田背西村城市更新单元计划公告
田背西村城市更新单元位于龙华区福城街道,项目拟拆除重建面积41226㎡,拟更新方向为居住、商业等功能。拟拆除范围内应落实用于城市基础设施、公共服务设施、政府公益性项目用地面积不少于16794㎡(含不少于11079㎡义务教育设施用地),拟贡献率不少于41%,落实不少于9班幼儿园一所。
更新单元计划有效期2年,自2024年8月14日起至2026年8月13日止。城市更新单元涉及城市总体规划强制性内容的,须按城市总体规划强制性内容有关要求执行。拟拆除范围内涉及的国有未出让用地作无偿清退处理(不适用清退政策),具体面积以土地信息核查结果为准。
申报主体为深圳市丰友花伴里房地产开发有限公司。查询工商信息显示,该公司大股东为深圳市合正房地产集团有限公司。
合正集团2004年涉足旧城改造项目的开发运作,至今已成功改造开发合正星园、合正锦湖逸园、合正汇一城、合正荣悦、合正观澜汇、合正丹郡等多个大型城市更新项目,累计完成城市更新逾百万平米,此外,集团在龙华、宝安、龙岗、盐田、大鹏等区域储备了大量城市更新项目。
来源:合一城市更新
声明:本文由入驻焦点开放平台的作者撰写,除焦点官方账号外,观点仅代表作者本人,不代表焦点立场。


